0888 11 22 00
Най-добрият сайт на агенция
за имоти според потребителите

Парцел/Терен, продажба, Равно поле

Код на имота: 655034

Парцел/Терен, продажба, Равно поле

Парцел/Терен, Равно поле, 655034, Снимка 1
Парцел/Терен, Равно поле, 655034, Снимка 2
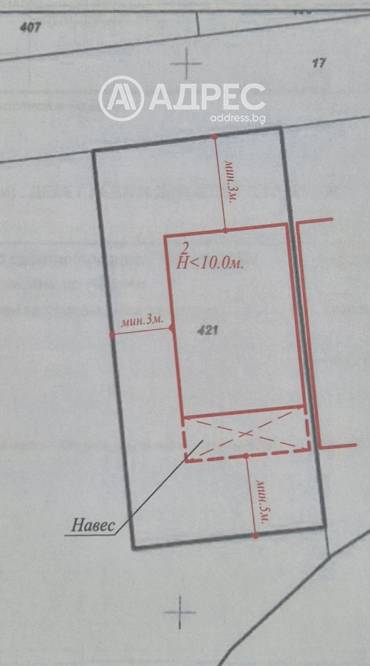
Скица
Само от Адрес
5+ огледа
Равно поле
640 кв.м.
126 720
Парцел/Терен
Купи само за /мес.
г.
379 преглеждания
198 €/кв.м.

Описание

Площ: 640 кв.м.

Тип Имот: Парцел/Терен

УПИ с лице на улица и наличие на всички комуникации, бонус - готов идеен проект за къща. Възможност за закупуване на съседния парцел, който е с подобна квадратура.

Понастоящем е разположено в изключително силен икономически район. Заобиколено от много възможности, които предлагат и разрастващите се логистични бази, е силен притегателен център за добра инвестиция в имоти, заради все по-растящото търсене. Предстои да бъде открито високоскоростното железопътно трасе София-Пловдив, при изграждането на което ще бъдат обновени основните пътни артерии от инфраструктурата на селото. В момента се изпълнява проект, за подмяна на водопреносната мрежа, паралелно с който се обновяват и тротоарите. 

Обади се СЕГА и цитирай този код 655034.

5 купувача разглеждат този имот.

Локацията е приблизителна

Други имоти в тази локация

Транспорт

Проверете маршрут

Изпратете запитване

Стоян Фотев

Стоян Фотев

Консултант

Контакти

Форма за запитване

Подобни имоти

Пиши ни ново
Заяви оглед